VIDEO La fix 16 ani de la uraganul Katrina, o nouă furtună violentă amenință statul american Louisiana: „Următoarele 24-36 de ore vor fi absolut cruciale”
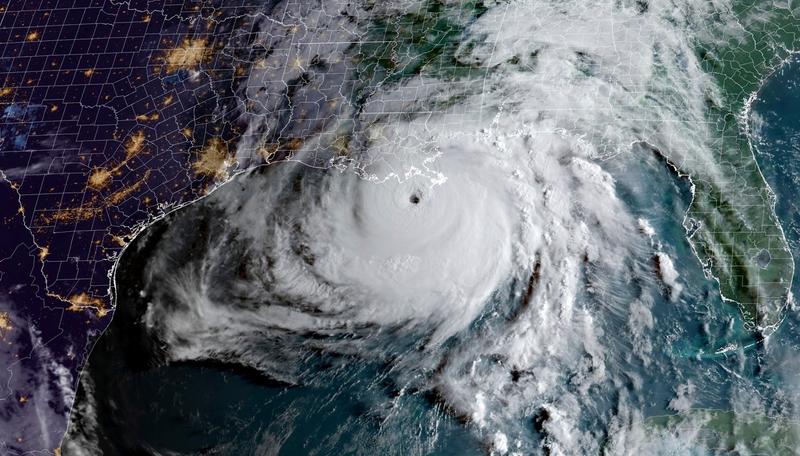
Uraganul Ida a ajuns, duminică, în Louisiana, exact în ziua în care în urmă cu 16 ani, la 29 august 2005, în statul american a produs ravagii uraganul Katrina. Ida a atins pământul american cu rafale de vânt de până la 260 km/h, iar deja 250.000 de locuinţe erau fără electricitate.
„Găsiţi locul cel mai sigur din casă şi staţi acolo până când furtuna va trece”, a scris pe Twitter guvernatorul John Bel Edwards, informează News.ro
„Următoarele 24-36 de ore vor fi absolut cruciale pentru noi, aici în Louisiana. Cred că sistemul costisitor de diguri înfiinţat după ravagiile produse de Katrina va rezista”, a afirmat guvernatorul.
Ida va fi cel mai puternic uragan care va lovi Louisiana din anii 1850, anunţa sâmbătă John Bel Edwards, într-un apel ca locuitorii să se refugieze în camere fără ferestre.
New Orleans, cel mai mare oraş din stat, era afectat deja duminică de ploi şi vânt puternic, magazinele fiind baricadate cu garduri de lemn şi saci de nisip.
Statul Louisiana este frecvent lovit de uragane, iar în 2005 Katrina a făcut ravagii, peste 1.800 de persoane pierzându-şi viaţa.
Intense moments inside Category 4 Hurricane Ida as it made landfall near Grand Isle, Louisiana\uD83C\uDF00
Permission: Joshua Legg#HurricaneIda #Ida #Louisiana #LAwx pic.twitter.com/b3HHEpTqVn
— Live Storm Chasers (@Livestormchaser) August 29, 2021
Here’s the view from Leeville, LA, just slightly north of Port Fourchon, LA, where Category 4 Hurricane #Ida made landfall. In the video, you can hear Captain Tommy Burkett talking about a barge that broke loose. #tropics #lawx pic.twitter.com/vQx0xSi8XC
— Jennifer Lambers (@jlamberswx) August 29, 2021
1:55 pm. Winds getting destructive. 985.4 mb. #Hurricane #IDA in Houma #Louisiana pic.twitter.com/0iRlAAjlt2
— Josh Morgerman (@iCyclone) August 29, 2021
