VIDEO Ravagiile făcute de uraganul Ida: Cel puțin doi morți, străzi inundate, acoperişuri rupte și energie electrică întreruptă în peste 1 milion de gospodării
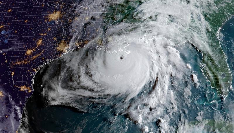
Alimentarea cu energie electrică întreruptă, străzi inundate, acoperişuri rupte. Locuitorii din Louisiana au evaluat amploarea pagubelor provocate de trecerea uraganului Ida, descrise de guvernatorul statului drept „catastrofale”, relatează AFP marţi, citată de Agrepres.
Prima consecinţă foarte evidentă a rafalelor provocate de Ida: peste un milion de gospodării erau în continuare private de curent electric luni seara, potrivit site-ului specializat PowerOutage.US.
Însoţit de vânt care a suflat cu viteze de 240 km/h, uraganul Ida a lovit direct coasta statului Louisiana duminică. „Daunele sunt cu adevărat catastrofale”, a declarat pentru postul NBC guvernatorul statului, John Bel Edwards.
Cel puţin două persoane şi-au pierdut viaţa, prima după căderea unui copac în aşezarea Prairieville, iar a doua în timp ce încerca să traverseze un drum inundat din New Orleans.
Agenţia Federală Americană pentru Situaţii de Urgenţă (FEMA), cu sprijinul Gărzii Naţionale, a mobilizat peste 5.200 de persoane pentru a veni în ajutorul victimelor, a asigurat Pentagonul. Ajutorul federal va continua „atât timp cât va fi nevoie”, a declarat preşedintele Joe Biden în cadrul unei întâlniri cu oficialii FEMA, guvernatorii şi primarii din oraşele afectate.
În localitatea LaPlace, la vest de New Orleans, puternic afectată de uraganul Ida, membrii Gărzii Naţionale au intervenit de asemenea pentru a salva rezidenţii rămaşi captivi în mijlocul apelor, ajutaţi de mai multe elicoptere, camioane şi bărci. „Eram circa cincisprezece într-un hotel” în seara uraganului, a declarat pentru AFP Jonathan Guity, în vârstă de 30 de ani, cu un bebeluş în braţe, care tocmai fusese salvat de un elicopter. „Vântul era foarte puternic, iar când am vrut să ieşim din hotel, a doua zi, era prea multă apă”, de cel puţin doi metri, a continuat el.
Pagubele au fost mai reduse în centrul istoric din New Orleans, cel mai mare oraş din Louisiana, unde unele persoane au ieşit pe străzi, sfidând ordinele autorităţilor de a rămâne în case din cauza riscului de inundaţii, fulgere sau electrocutare.
Craig Anderson, în vârstă de 67 de ani, îşi inspecta luni maşina, al cărei parbriz fusese distrus de o bucată mare de ţiglă căzută de pe acoperiş. „Sunt norocos, nu eram în interiorul vehiculului”, a spus el pentru AFP.
Benzinării distruse, camioane răsturnate, case şi drumuri acoperite de apă… astfel de scene de distrugere devin redundante în această regiune sudică din Statele Unite, unde un uragan conduce adesea la altul. Însă, pe măsură ce suprafaţa oceanului se încălzeşte, furtunile devin din ce în ce mai violente, după cum avertizează oamenii de ştiinţă, acestea prezentând un risc din ce în ce mai mare pentru comunităţile de costiere. Toată lumea are încă proaspăt în memorie amintirea dureroasă a uraganului Katrina, care a lovit Louisiana în data de 29 august 2005, cu 16 ani înainte de Ida.
Peste 1.800 de oameni au murit atunci, iar pagubele s-au ridicat la miliarde de dolari. „Am fost acolo acum 16 ani, în timpul Katrina, vântul a părut mai rău de data aceasta”, a declarat pentru AFP Dereck Terry, în vârstă de 53 de ani. „Însă, pagubele sunt mai puţin importante, aşa am impresia”, a estimat bărbatul. Companiile de asigurări estimează că uraganul Ida a cauzat daune de 15-20 milioane dolari, conform datelor preliminare. Retrogradată luni seară la nivel de depresiune tropicală, furtuna Ida înaintează în prezent peste Mississippi, una dintre cele mai sărace regiuni din Statele Unite, care se confruntă cu riscul de inundaţii.
